조황관리HOME / 조황관리 / 상세정보

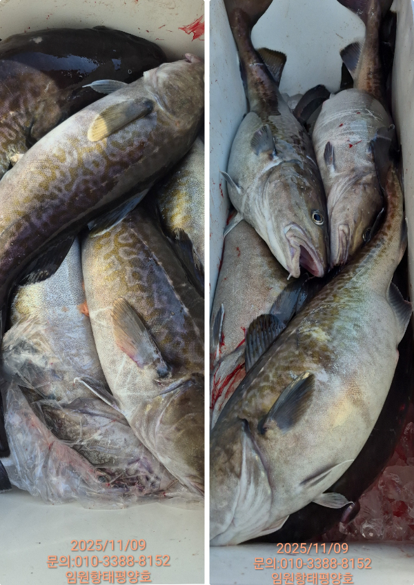
제목 : 임원항태평양호 왕대구 쿨러 조황입니다
등록일 : 2025-11-09
씨알좋은 왕대구 넉넉히 손맛보고 왔습니다 
주중 주말 자리여유있습니다 
1000021111.jpg


1000021113.jpg


1000021121.jpg


1000021123.jpg


1000021125.jpg


1000021115.jpg


1000021116.jpg


1000021117.jpg

1000021118.jpg


1000021119.jpg


1000021120.jpg


1000021127.jpg


1000021128.jpg


1000021129.jpg




=== 삼척 태평양호 예약안내 ===

예약문의 : 010-3388-8152

오시는길 : 강원도 삼척시 원덕읍 임원 항구로34-24

홈페이지 : http://pacific.sunsang24.com/

블로그    :https://blog.naver.com/bhlee1410
밴드
       :https://band.us/band/85363756

모바일.jpg 

Top